Cuba pronostica incremento de lluvias y vientos ante proximidad de Melissa por el oriente
especiales

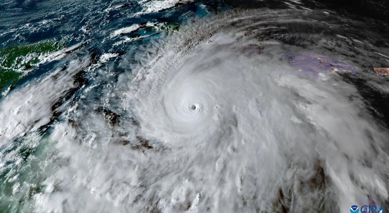
El Instituto de Meteorología (Insmet) de Cuba pronosticó que desde este martes comenzarán a incrementarse las lluvias, marejadas y fuertes vientos en la región oriental de Cuba ante el impacto del huracán Melissa, de categoría 5, que ya golpea Jamaica.
Un aviso del Centro de Pronósticos del Insmet precisó que las bandas externas de Melissa “continuarán incrementando los nublados y las precipitaciones durante el día de hoy en la región oriental de Cuba, las que pueden llegar a ser fuertes e intensas en algunas localidades, principalmente en zonas montañosas”.
Los meteorólogos cubanos agregaron que en la tarde se esperan vientos con velocidades de entre 35 y 40 kilómetros por hora y esperan que se incrementen en la noche.
El pronóstico señaló que también habrá marejadas con olas de casi 4 metros en los mares del sur de las provincias de Granma, Santiago de Cuba y Guantánamo “con inundaciones moderadas en zonas bajas de este litoral”.
Estas regiones, junto a Las Tunas y Camagüey están desde el lunes en la fase de “alarma ciclónica” ante el impacto del huracán Melissa este miércoles.
El más reciente boletín del Centro Nacional de Huracanes (NHC) de Estados Unidos ubica a Melissa aproximándose a la costa occidental de Jamaica con vientos sostenidos de 280 kilómetros por hora.
El organismo meteorológico advirtió de que el fenómeno tropical, el más potente en el Atlántico en 2025, tocará tierra en las próximas horas en Jamaica, manteniendo su intensidad extrema antes de cruzar el sureste de Cuba el miércoles y llegar a las Bahamas el jueves.
En Cuba, las autoridades cubanas evacuaron a casi 650.000 personas en las provincias orientales. El último huracán categoría 5 en azotar Cuba fue Irma en 2017, según los registros oficiales.












Añadir nuevo comentario