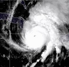
Los expertos venezolanos y cubanos han completado dos jornadas de evaluación en los municipios afectados, donde el huracán dejó daños de consideración. Foto: Ministerio de Transporte / Cuba