
Una onda tropical circula por el Atlántico y es monitoreada hoy por meteorólogos de la región debido a la probabilidad de formación de depresión tropical, la sexta de la actual temporada que llevaría el nombre de Fiona.
Con un movimiento hacia el oeste-noroeste sobre el Atlántico tropical, el evento podría aproximarse a las Islas de Sotavento el próximo viernes.
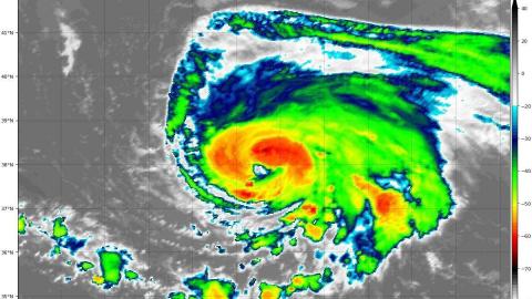
Meteorólogos del Centro Nacional de Huracanes siguen de cerca esta zona de disturbios y la denominan Invest 96L, para sistemas tropicales que son vigilados por su desarrollo, que permite la elaboración de modelos numéricos, recopilación de datos de satélite y radar entre otros.
A juicio de especialistas, la actual temporada ciclónica que arrancó de manera oficial el 1 de junio, tiene un comportamiento muy diferente a los de años precedentes. El 2021 y el 2020, éste último considerado hiperactivo, recuerdan.
Hasta la fecha solo cinco tormentas tropicales se han formado: Alex, Bonnie, Colin, Danielle y Earl, las dos últimas llegaron a ser huracanes, aunque de categorías 1 y 2, de un máximo de 5 por la intensidad de sus vientos.
Ambas circularon por el Atlántico en el noveno mes del año y justo a mitad de ciclo, que se extiende hasta el 30 de noviembre.